Huracán 'Kristy' se intensifica a ciclón categoría 5
Nacional / Nacional / Por: Staff NotiGape
Publicado: 24 de octubre, 2024 | 7:18 PM

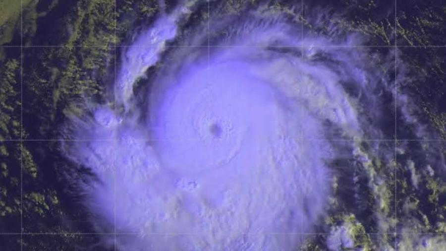
El Centro Nacional de Huracanes (NHC) informó que el huracán "Kristy" se convirtió en un poderoso ciclón de categoría 5 este jueves.
Para las 15 horas de este 24 de octubre, el ciclón se ubicó a 1,565 kilómetros al suroeste de Baja California Sur y a 1,240 km al oeste-suroeste de la Isla de Socorro, Colima.
Kristy presenta vientos máximos sostenidos de 260 km/h, con 26 km de movimiento por hora hacia el oeste en el Océano Pacífico.
Debido a la distancia del centro del huracán a tierra no hay vigilancia ni avisas costeros en vigor.
Se espera que las marejadas afecten las zonas de la Península de Baja California a finales de esta semana y durante el fin de semana.
De acuerdo con el Joint Cyclone Center, Kristy es "Uno de los ciclones tropicales más intensos y poderosos jamás registrados en el Pacífico Norte Oriental".
Aunque se prevé que algunas fluctuaciones en su intensidad se presenten hasta esta noche, y cause un debilitamiento rápido apartir del viernes.