Retiran OMM nombres como “Dorian”, “Laura” y “Lota” de la lista para denominar huracanes

Internacional / Internacional / Por: Staff NotiGape

Publicado: 18 de marzo, 2021 | 7:34 AM

Retiran OMM nombres como “Dorian”, “Laura” y “Lota” de la lista para denominar huracanes

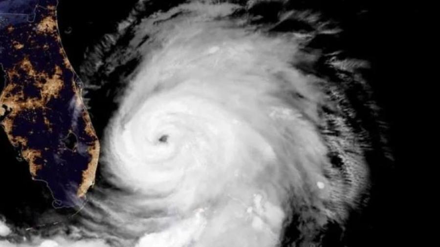
El Comité de Huracanes de la Organización Meteorológica Mundial (OMM) anunció este miércoles que retiró de la lista de los nombres para denominar los ciclones tropicales del Atlántico a "Dorian"  y "Laura", "Eta" e "Iota", esto debido a la gran cantidad de muertes y destrucción que dejaron a su paso.

Tras una reunión del Comité de Huracanes de la OMM, órgano competente en la materia para América del Norte, América Central y el Caribe, se decidió por borrar los nombres de la lista y no volver a usarlos con un fenómeno tropical.

"Los huracanes no entienden de fronteras internacionales. Todos encaramos peligros similares debidos a los sistemas tropicales. Las consecuencias de una sola tormenta pueden afectar a varios países, por lo que es fundamental que dispongamos de un plan, coordinemos esfuerzos y pongamos en común las dificultades encontradas y las mejores prácticas", dijo Ken Graham, director del Centro Nacional de Huracanes de Estados Unidos.

A lo largo de la temporada anual de huracanes que comienza el 1 de junio, a las tormentas se les asignan nombres masculinos y femeninos en orden alfabético. El año pasado comenzó con "Arthur" y "Bertha".

Las tormentas son nombradas para hacerlas más fáciles de identificar en mensajes de advertencia.

Los nombres son supervisados por la (OMM) y la lista se vuelve a utilizar cada seis años, aunque si algún huracán es particularmente devastador, su nombre se retira y se reemplaza.

La lista usa 21 de las 26 letras del alfabeto debido a la dificultad de encontrar fácilmente reconocibles con Q, U, X, Y y Z en inglés, español, francés y holandés, idiomas hablados en las regiones atlánticas y caribeñas afectadas.

"’Dexter’ reemplazará a "Dorian" en la lista de nombres; ‘Leah’ reemplazará a ‘Laura’”, explicó.

Un total de 93 nombres han sido retirados de las listas empleadas para la cuenca atlántica desde 1953, cuando empezó a utilizarse el sistema actual para bautizar a las tormentas.