Notigape

"Harvey", huracán categoría 4, toca tierra en Port Aransas, Texas

Por: Staff NotiGape
25/08/2017 15:52
"Harvey", huracán categoría 4, toca tierra en Port Aransas, Texas

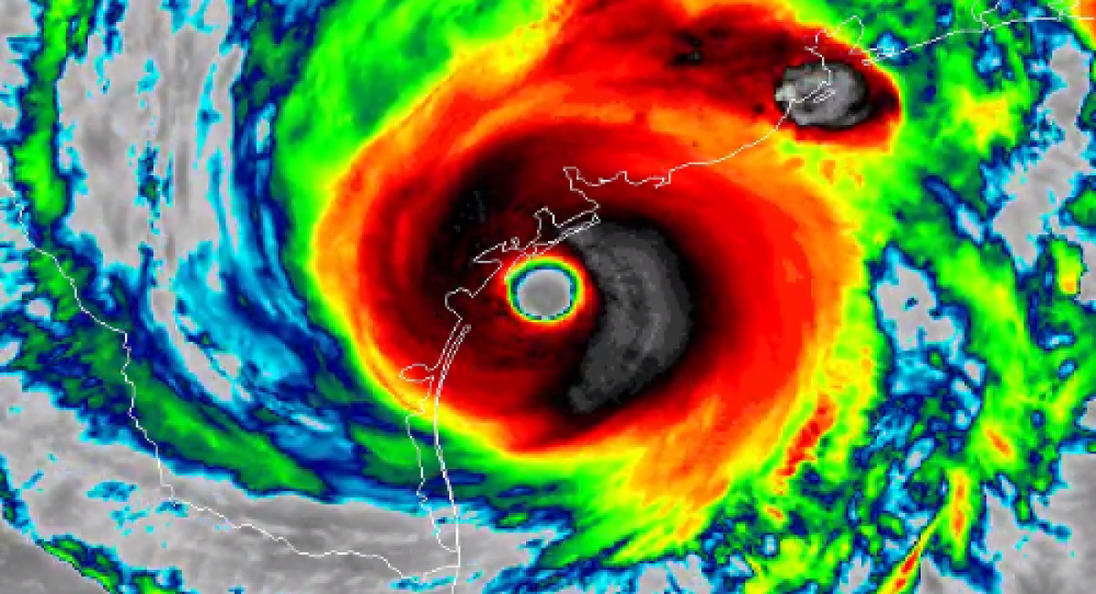
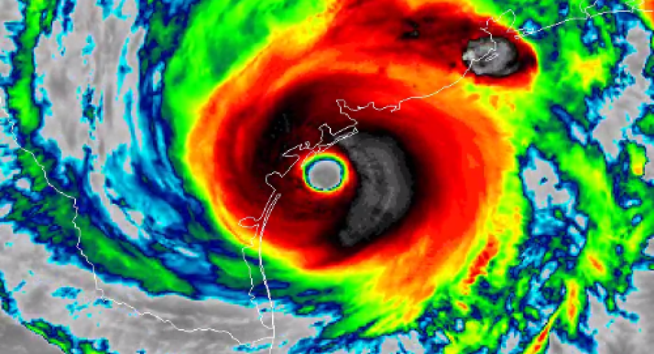
Esta noche alrededor de las 20:40 horas ‘Harvey’ uno de los huracanes más poderosos registrados después de 'Katrina' tocó por primera vez tierra en las costas de Texas, ante la llegada de éste, elementos de Protección Civil y autoridades optaron por evacuar la zona.

Harvey un huracán que alcanzó la categoría cuatro aproximadamente a las seis de la tarde de éste viernes, el fenómeno meteorológico que llegó primeramente a Port Aransas, cerca Corpus Christi, en la zona de Mesquite Bay, registró vientos máximos de hasta 215 km/h fue por lo que el Centro Nacional de Huracanes (NHC, por sus siglas en inglés).

Cabe destacar que las ciudades más afectadas serán Port Aransas, Puerto O’Connor, Riviera, Palacios, Matagorda y Freeport, pues estas zonas se encuentran ubicadas en las costas de Texas.

Como medida de prevención desde el día de ayer las autoridades comenzaron con el desalojo de las personas, llevándolas a ciudades del centro de Estados Unidos.

Notas Relacionadas

Oncológicos